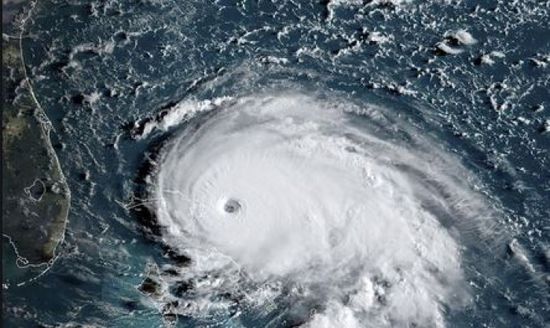
بسبب إعصار دوريان.. 70 ألف شخص يعانون بجزر الباهاما

الخميس 5 سبتمبر 2019 08:45:31
بسبب إعصار دوريان.. 70 ألف شخص يعانون بجزر الباهاما

كشف مساعد الأمين العام للأمم المتحدة للشؤون الإنسانية مارك لوكوك، عن حاجة نحو 70 ألف شخص في جزر الباهاما لمساعدة فورية؛ بسبب إعصار دوريان الذي اجتاح الأرخبيل.

وقال لوكوك في تصريحات صحفية، إن الاحتياجات تشمل الغذاء والمياه والخيم والأدوية، لافتًا إلى أن المنظّمة الأممية حوّلت مبلغ مليون دولار من صندوقها المخصّص للحالات الطارئة لتقديم مساعدات أولية للمنكوبين.

وغمرت السيول معظم جزر الباهاما في أعقاب الإعصار دوريان، في أحداث وصفها رئيس وزراء مجموعة الجزر بأنها واحدة من أسوأ الكوارث بالمنطقة.

من جانبهم، بذل عمال الطوارئ جهودًا مُضنية للوصول إلى الضحايا مع استمرار عمليات البحث والإنقاذ أمس الأربعاء واتضاح حجم الأضرار والأزمة الإنسانية.

وبحسب وسائل الإعلام فإن بعض ضحايا الإعصار لا يزالون عالقين على الأسطح بانتظار من ينقذهم، موضحة أن عدد الضحايا بلغ سبعة، ومن المتوقع أن يرتفع في الأيام المقبلة.